Spécialiste en Foncier, cabinet de géomètre expert en Tunisie

Foncier
Nos Compétences de Géomètre Expert porte naturellement sur la Maitrise Foncière. On met notre expertise à la disposition à tous les acteurs particuliers et professionnels.
Service aux Particuliers :
Opération de délimitation et division des Parcelles. Rétablissement des Bornes des Terrains Immatriculés. Etat des lieux et relevé Topographique pour le dossier du permis de Bâtir. Opérations Techniques pour les travaux de Morcellement, Lotissement, Fusion et incorporations des Titres Fonciers et Opérations juridiques (Dépôt des plans de Mutations :auprès de la conservation de la propriété foncière CPF ) .
Service aux Professionnels :
Aide technique et conseil juridique pour la constitution des dossiers des autorisations administratives pour les Sociétés opérant dans le secteur de l’immobilier et l’industrie. Enquêtes foncières pour les grands Projets (Routes, Equipements, gaz, pétrole, éoliens, …). Notre équipe a acquis de l’expérience dans la gestion des grands projets par la collecte des données sur le terrain, notamment le contact avec les propriétaires, la négociation en vue de l’indemnisation.
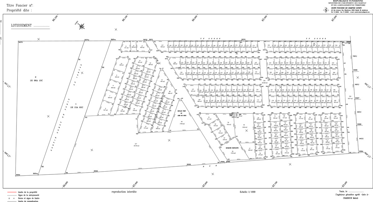
Exemples
Nos Compétences
- Géomètre-Expert Plus d'infos
- Topographie Plus d'infos
- Foncier Plus d'infos
- Copropriété Plus d'infos
- Topométrie de Précision et Métrologie Plus d'infos
- Géodésie Plus d'infos
- Expertise immobilière et judiciaire Plus d'infos
- Bathymétrie Plus d'infos
- Scanner et Modélisation 3D Plus d'infos
- Photogrammétrie aérienne et Cartographie Num. Plus d'infos
